| Titel |
Beschreibung |
Ort |
Bild |
| Fussgängerweg für Grundschüler blockiert |
Durch Bauarbeiten ist der wichtige Fussweg zur Grundschule Michelsberg blockiert. Es gibt keine beschilderte Umleitung, der Baustellenbereich ist unübersichtlich und xchaotisch. Die Grundschüler müssen durch den Baustellenbereich in der Werastraße 2, in dem die Gehwege auf beiden Seiten als Lagerfläche zweckentfremdet werden. und dann weiter durch den Baustellenbereich Werastraße 10. Unfall vorprogrammiert. |
|
|
| Fußgänger und Radwegbrücke gesperrt |
Die Brücke wurde wegen "unklarer" Mängel gesperrt? Hoffentlich folgt nicht der nächste ersatzlose Abriss sehr wichtiger Verbindungen für Fußgänger und Radfahrer. |
|
|
| Äste und Ranken im Bereich des Radwegs |
Der so schon sehr schmale Zweirichtungsradweg wird durch hereinwachsende und nicht zurückgeschnitte Äste und Dornenranken weiter verengt. |
|
|
| Fußgängerinsel abgerissen |
Eine Fussgängerinsel, die besonders betagten Fussgängern an dieser Stelle das Überqueren der Straße ermöglicht wurde einfach abgebrochen. Es ist in dem Bereich weder eine Fußgängerampel noch ein Zebrastreifen vorhanden der ungefährliches überqueren ermöglicht. |
|
|
| Straßenüberquerung von/zur Fahrradstraße |
Die Überquerung der KWS von und zur Fahrradstraße ist schlecht gelöst. Autos haben Vorfahrt, obwohl sie ohnehin oft wegen der Ampel am Staufenring anhalten müssten und leicht schon vorher abgebremst werden könnten. Vorschlag: sleeping policeperson vor den Übergang und Radlern Vorrang gewähren, damit insbesondere Schulkinder schnell und sicher über die Straße auf die Radstraße kommen können. |
|
|
| Tankstellenausfahrt missachtet Radler von unten |
Die wenigsten Autofahrer:innen schauen bei der Ausfahrt aus der Tankstelle auch nach unten. Der Radweg, der in beide Richtungen befahren werden muss, ist an jeder Ein- und Ausfahrt super gefährlich und bei sicherer Fahrweise ein Hindernisparkour. Vorschlag: Radweg auch auf der "richtigen" Fahrbahnseite einrichten oder wenigstens einen Radstreifen, der die Benutzung der Fahrbahn erlaubt. |
|
|
| zu enge Unterführung |
Die Unterführung ist zu schmal für eine Hauptradachse. Insbesondere wenn Schulkinder sich bei Regen da unterstellen oder kleine Kinder rumdölmern und (alte) Menschen ihre Hunde an der langen Leine führen ist es wirklich gefährlich.
|
|
|
| Umfahrung Sackgasse Wörthstrasse |
die Sackgasse in Wörthstrasse Ecke Scharnhorststrasse die seit 18.04.23 besteht, wird fleißig von LKW, Taxis, Pkw etc. über die Einfahrt zum Parkhaus der Hausnummer 74 und den Fußweg umfahren. Dieser wird auch sehr stark von Kindern benutzt. Evtl. macht es Sinn, die Rot-Weißen Poller auf den Fußweg zu erweitern. |
|
|
| Fussgängerbrücke gesperrt |
Fussgängerbrücke ist ersatzlos gesperrt, keine Umleitung, keine Vorankündigung, keine Ersatzbrücke…bei Brücken für Autos wäre das sicher nicht so |
|
|
| Nahverbindung für Radfahrer und Fußgänger abgebrochen |
Hier war auch mal eine wichtige Verbindung für die Bewohner vom Eselsberg in die Weststadt, besonders für diejenigen die kein Auto haben. Wurde einfach abgerissen, kein Erastbauwerk gebaut. Das sollte mal bei Brücken für Autos versucht werden. |
|
|
| Abgesenkter Bordstein regelhaft zugeparkt |
Kommt man hier von der Magirus-Deutz-Strasse und will links in die Einsteinstraße, so ist der gegenüberliegende abgesenkte Bordstein des Radweges regelmäßig zugeparkt. Hier wären zwei Poller eine hervorragende Lösung. Da es sich um Richtungsgebundene Radwege handelt, kann auch nicht auf der Gegenseite bis zur Ampel gefahren werden. |
|
|
| Schutzstreifen endet plötzlich |
Der Schutzstreifen auf der Neuen Straße vom ADAC in Richtung Rathaus endet plötzlich an der Einfahrt zur Tiefgarage ‚Neue Mitte‘. Was soll man jetzt tun? In den fließenden Verkehr einfädeln(!) oder auf den Gehweg (hoher Bordstein)? |
|
|
| Markierung ist verblasst bzw. ganz weg |
In der Söflinger Straße in Fahrtrichtung Innenstadt ist die Markierung verblasst und teilweise ganz weg (abgefahren). Am schlimmsten zwischen Einmündung Königstraße und Einmündung Magirusstr. Es ist sowieso schon sehr eng zwischen Gleiskörper der Straßenbahn und Gehweg für Autos plus Radfahrer. An einen Abstand von 1,5 m braucht man nicht mal denken! |
|
|
| Söflinger Straße zu eng für Autos plus Radler |
Die Söflinger Straße ist zu eng für Autos plus Radverkehr. Die Gefahr entsteht durch den viel zu geringen Abstand zwischen Autos und Radlern, ebenfalls zu wenig Abstand zwischen Straßenbahn und Radler.Zusätzliche Gefahr bilden parkende Autos, die die Tür unachtsam öffnen. Es gibt keinen Platz um auszuweichen. |
|
|
| Unverständliche Umleitung an der Baustelle |
Unverständliche Umleitung des Radverkehrs vom Eselsberg kommend Richtung Stadtmitte (rechts auf Bleicher Hag Richtung Söflinger Bahnhof). Sinnvoller über Hagenbühl zur Kienlesbergstrasse. |
|
|
| Extrem unübersichtliche und gefährliche Einmündung |
Die Einmündung der Königstraße in die Söflingerstraße ist seit jeher ein Problem. Durch die Radwegführung auf dem Gehweg, hinter der Bushaltestelle (stadteinwärts) sin Radfahrende für Abbieger in die Königstraße nur schwer zu sehen. Gleichzeitig ist vielen Radfahrenden hier nicht klar, daß die Ampel auch auf dem Radweg gilt. Ein einfacher weißer Strich oder in Schild wäre hilfreich, so daß sich Radfahrende nicht "treffen". Desweiteren wäre ein vergleichbarer Hinweis für Kraftfahrzeuge, die rechts abbiegen wollen sinvoll. Die Königstraße ist Schulweg! |
|
|
| Unterführung unter Wasser |
Die Unterführung für Fussgänger kann nicht benutzt werden, da dort 10 cm hoch Wasser steht. Es muss auf beiden Straßenseiten eine oberirdische Überquerungsmöglichkeit geschaffen werden. |
|
|
| Elisabethstr.: Durchgangsverkehr durch Einbahnstr. unterbinden |
Problem: Die gesamte Elisabethstr. wird intensiv für Duchgangsverkehr genutzt, obwohl es eigentlich eine Wohnstraße sein sollte und der Durchgangsverkehr auf der B10 fahren sollte.
Lösung: Einführung von Einbahnstraßen, damit Anwohnende und Kunden / Angestellte von LIdl und Hensold, weiter ihr Ziel erreichen, aber die reine Durchfahrt unattraktiv wird.
Vorschlag: Von Söflingerstr. und Wagnerstr- kann nur in Richtung und bis zur Gneisenaustr. gefahren werden. Von der Wagnerstr. und dem Römerplatz aus kann nur in Richtung und bis Wörthstr. gefahren werden. Für den ÖPNV ist es ggf. erforderlich dedizierte Busspuren entgegen der Einbahnstr. einzurichten. |
|
 |
| Rote Fahrbahnmarkierung fehlt |
Vor der Baustelle war hier eine rote Markierung, die den Radweg verdeutlicht hat. Fast täglich werde ich hier von Fahrzeugen, die aus dem Leimgrubenweg nach rechts abbiegen wollen, übersehen. Die Fahrer achten nämlich primär auf die Fahrzeuge, die von links die Heidenheimerstraße herunter kommen… |
|
|
| Breiter Radweg zwischen Hbf. und Universum Center |
Problem: Der geteilte Fuß- und Radweg vom Universum Center in Richtung Stadtmitte ist zu eng.
Lösung: Umwidmung einer Fahrspur der Neuen Straße in einen dedizierten Radweg, mindestens auf dem Abschnitt der Unterführung, potenziell aber auch als Fortsetzung des Radwegs vom Hbf. an.
Dies wurde im Bereich der Unterführung 2022 während der Bauarbeiten bereits temporär ermöglicht. Die Fahrbahn des Radwegs müsste für eine dauerhafte Umsetzung jedoch erhöht werden, um die Höhenunterschiede zu minimieren (ähnlich dem aktuellen geteilten Fuß- und Radweg) |
|
 |
| Freigabe der Neuen Mitte Busspur für Radverkehr |
Problem: Die Neue Straße durch die neue Mitte ist für Radfahrende nicht gut gelöst. Vom Hbf. aus müssen PKW die Schutzstreifen für Radfahrende bei Gegenverkehr überfahren, da nicht ausreichend Platz ist.
Lösung: Freigabe der neuen Mitte Busspur für Radfahrende. Zum Einen nutzen diesen Abschnitt zum Teil bereits Radler – allerdings regelwiedrig. Andererseits ist es eine gute Möglichkeit, um schnell und Sicher zum Ehinger Tor zu kommen. Die gefährlichste Stelle, die in der Kurve liegende Bushaltestelle "Steinerne Brücke" (Radfahrende könnten Busse überholen wollen und entgegenkommende Busse in der Kurve nicht sehen), lässt sich durch Installation von Frankfurter Hüten kostengünstig und schnell sichern (Queren für Radfahrende wird im Kurvenbereich unterbunden). |
|
|
| Bäume in Verlängerung von Radweg |
Vor dem Neubau des Transporeon-Gebäude wurden drei Bäume gepflanzt. Diese sind jedoch genau in der Verlängerung des Radwegs. Hätte man die Bäume 1-2 Meter näher zum Gebäude gepflanzt, hätte man sogar noch eine Abgrenzung zwischen Fuß und Radweg gehabt. |
|
|
| Karlsstraße Hausnr. 83-113 – drastische Reduzierung des Durchgangsverkehrs |
Problem: Sehr hoher Durchgangsverkehr durch das Wohngebiet. Auf dem letzen Abschnitt könnte dieser Verkehr drastisch reduziert werden.
Lösung: Verkehr von der Karlsstraße zur Heidenheimerstr. und in die andere Richtung wird vollständig über die Stuttgarter Str. geführt. Abbiegen von der Karlsstr. in die Heidenheimerstr. und umgekehrt ist nicht mehr möglich. Die Ampelschaltung würde dort deutlich vereinfacht, da eine komplette Grünphase für das Abbiegen entfallen würde. Da in der Stuttgarter Str. signifikant weniger Wohneinheiten stehen, wäre der Nutzen dieser Verkehrsführung deutlich größer.
Zusätzlich könnte so die Karlsstraße zu einer Einbahnstraße gemacht werden (in Richtung B10). Der gewonne Raum könnte fürbreitere Fußwege und Grünanlagen genutzt werden. |
|
 |
| Friedrichstr. – Wohnstraße ohne Durchgangsverkehr (Einbahnstr.) |
Problem: Aktuell ist die Durchfahrt von der Karlsstraße zur König-Wilhelm Str. als Abkürzung möglich – Durchgangsverkehr in einem Wohngebiet. Zudem würde die Schülinstr. als Einbahnstr. die Radhauptroute Zeitblamstr. – Alter Friedhof erweitern bzw. aufwerten.
Lösung: Von der Karlsstr. und der Beethovenstr. in Richtung Schülinstr. werden Einbahnstr. eingeführt (der Abschnitt Beethovenstr. zur König-Wilhelm Str. ist bereits Einbahnstr.). Die Schülinstr. würde dann lediglich in Richtung König-Wilhelm Str. befahren werden können. |
|
 |
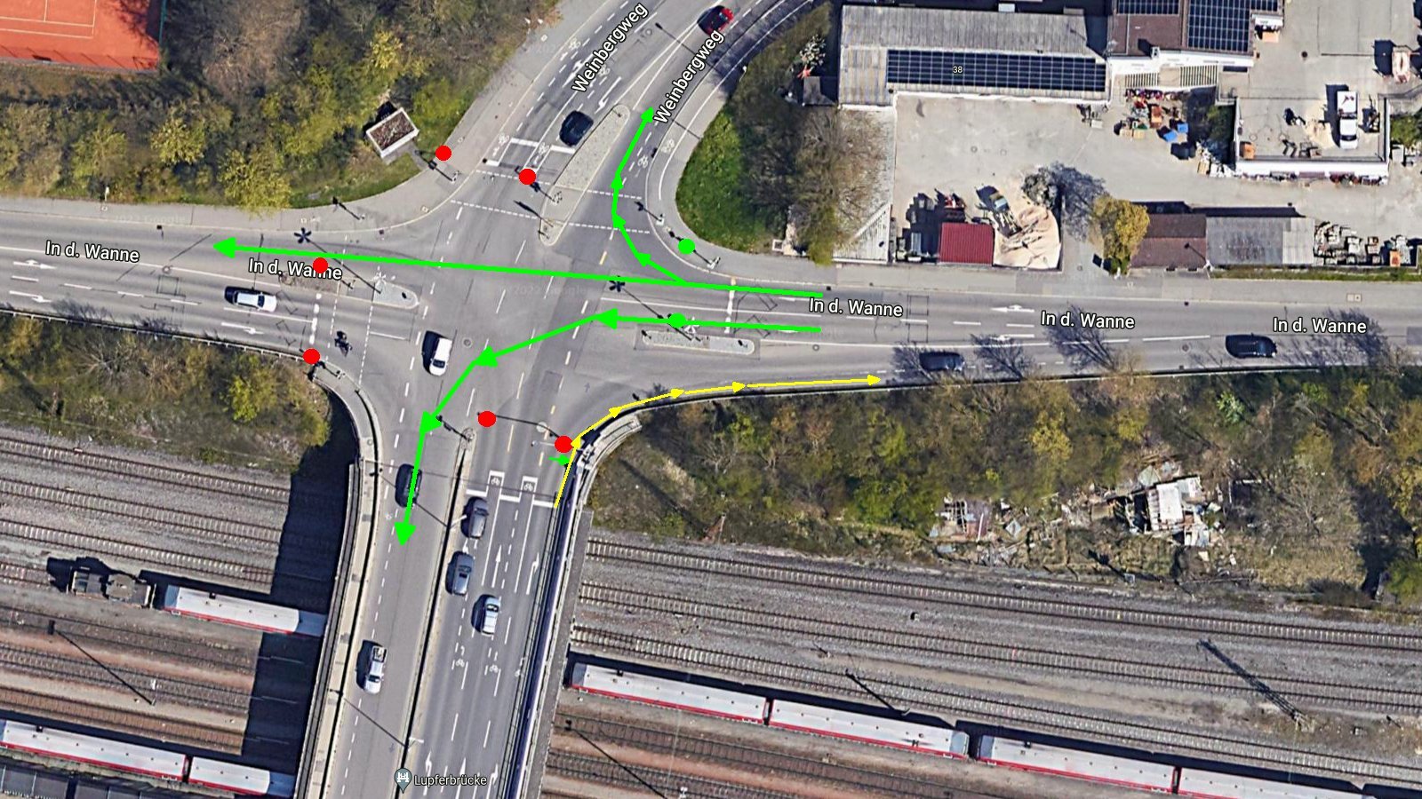
| Fehlender Grünpfeil für Rechtsabbieger auf Lupferbrücke Richtung Osten |
Der früher dort angebrachte Grünpfeil für Rechtsabbieger auf der Lupferbrücke Richtung Osten (Söflinger Bahnhof) wurde im Zuge der Fernwärmearbeiten entfernt aber hinterher leider nicht wieder angebracht. Dieser würde den Verkehrsfluss hier aber deutlich verbessern und unnötiges Warten auf "nichts" während Grünphase der Ampel aus Richtung Osten vermeiden. Siehe Bild im Anhang |
|
 |
| Kaputte/fehlende Markierungen und fehlende Beschilderung in den Unterführungen |
Kaputte/fehlende Markierungen und fehlende Beschilderung in den Unterführungen unter Blb.-Straße und unter den Bahngleisen führen dazu, dass viele Fußgänger und Radfahrer die falsche Seite benutzen und dadurch zu einer erheblichen Gefährdung anderer Personen führen: Dadurch, dass im ersten Unterführungsabschnitt die Treppe zwischen zwei Mauern, sehr schlecht einsichtig, von Gl. 2 in die Unterführung hinunterführt, muss diese Seite zwingend die Fußgängerseite sein, was sie im Prinzip auch schon immer war und noch ist, jedoch ist dies aufgrund fehlender Beschilderung an den jeweiligen Tunnelabschnitten und inzw. fast nicht mehr erkennbarer Fahrbahnmarkierungen, möglichst auf ganzer Länge, kaum mehr zu erkennen. Fahradfahrer, die aber auf dieser Seite fahren, gefährden von Gl. 2 die Treppe herunterkommende Fußgänger (und dadurch auch sich selbst) aber extrem und völlig unnötig. Auch auf der anderen Seite, vom Fuß/Fahrradweg zw. Blau und Blautalcenter kommend, führt hier eine Treppe von rechts auf den Weg herunter, so dass es auch hier sinvoll ist, dass die rechte Seite ausschlißlich Fußweg, und damit die linke Seite reiner und ausschließlicher Radweg sein sollte. Damit wäre ein über die gesamte Strecke aller Unterführungsabschnitte gleichbleibendes "Verkehrstrennungsgebiet" gegeben, was massiv zur Gefährdungsverringerung aller dort befindlichen Verkehrsteilnehmer führen würde. Ein Verkehrs-Spigel zu verbesserten Einsicht in den letztgenannten Tunnelabschnitt, im der Blau zugewandten Bereich montiert, würde weiterhin dazu beitragen, denn er würde die Verkehrssituation im Bereich des Knicks (Tunnelausgang / Blau) aus beiden Richtungen kommend deutlich besser erkennbar gestalten. |
|
|
| Fahrradwegverlauf |
Olgastraße aus Richtung Bahnhof in Richtung Oststadt, Kreuzung Wengengasse: Radweg wird vom Bahnhof zuerst auf den Fußweg, dann wieder runter auf die Straße zu den Autos geleitet. An der Ampel zur Kreuzung Wengenstraße gibt es keinen Fahrradstreifen mehr. Als Radfahrende steht man hinter den Auto. Bei der Ampel angekommen, ist diese auf rot umgesprungen. |
|
|
| Fahrradstreifen fehlt |
Neutorstraße Richtung Karlstraße. Fahrradstreifen hört ein paar Meter vor Zeitbloomstraße auf. Folge: Hinter (in den Auspuffgasen) den Autos anstehen, Ampel ggf. schon rot, wenn Radler an der Kreuzung ankommen. |
|
|
| Fußgängerampeln |
Neuerdings muss die Fußgängerampel für Grün angefragt werden. Während an den Kreuzungen Olgastraße- Keplerstraße und Syrlinstraße der Autoverkehr grün zur Kreuzung/Einfahrt in die Olgastraße hat, d.h. der Autoverkehr auf der Olgastraße nicht stattfindet, steht man als Fußgänger vor der roten Ampel, und manchmal auch zwei mal, da bei beiden Fußgängerampeln hier einzeln grün anfordern muss. |
|
|
| Fußgängerampel |
Warum muss man hier als Fußgänger neuerdings Grün anfordern, wenn die Autofahrer, die die Olgastraße kreuzen, eh schon grün haben? |
|
|
| Bodenwellen hat mir |
Starke Bodenwellen, z. T. durch Wurzeln der Bäume die entlang des Weges zwischen Hans-Lorenser Straße und Daimlerstrasse. Ist schon viele Jahre wellig, wird immer schlimmer, zum Teil fängt inzwischen der Teer an zu reißen. Bild habe ich aktuell nicht Kann ich nachreichen wenn es euch hilft. |
|
|
| Sperrung Gehweg ohne Umleitung |
Der Gehweg und Ampelübergänge sind komplett gesperrt ohne Anzeige zur Umleitung und um zu den Häusern Westlich der Sperrung zu gelangen muss man um den kompletten Häuserblock laufen, was für Personen ohne Ortskenntnisse sehr schwer ist |
|
|
| Fussgängerampel schaltet nicht auf Grün |
Früher schaltete die Fussgängerampel automatisch auf Grün, heute muss man die Taste an der Ampel befingern, was in Coronazeiten zumindest unhygienisch bis gefährlich ist. Warum dies geändert wurde ist unklar, da ausser der erneuten Benachteiligung für Fußgänger kein anderer Verkehrsteilnehmer etwas davon hat. |
|
|
| hohe Bordsteinkante – Gegenverkehr kann nicht ausgewichen werden |
Der Radweg ist hier sehr schmal, mit einem hohen Bordstein wird der Fußweg räumlich getrennt. Wenn aber ‚Berg runter‘ Radfahrer auf die schamle Spur fahren, sehen diese den Radfahrer, der gerade um die Kurve ‚Berg hoch‘ fährt nicht. Ein Ausweichen ist notwendig, da die Radspur in der Kurve nur 1 Spur schmal ist, ein Ausweichen auf dem Fußweg ist allerdings wegen einer hohen Bordsteinkante unmöglich. Dadurch bleibt nur die Hoffnung, dass der ‚Berg runter‘-Verkehr gute Bremsen hat… |
|
|
| Unübersichtliche und gefährliche Verkehrsführung für Radfahrer vor Neutorbrücke |
Von Süden kommend ist es für Radfahrer schwierig, gefahrlos über die Neutorbrücke zu kommen. Die Neutorbrücke ist recht schmal, was bei viel Verkehr gefährliche Situationen provoziert, und es ist alternativ umständlich bis schwierig, unfallfrei auf den Fuß-/Radweg der Kienlesbergbrücke (für Straßenbahn) zu kommen (links Abbiegen nötig, dabei Querung der Straßenbahnschienen evtl. in zu spitzem Winkel). |
|
|
| Gefährliche Nähe des Fuß-/Radwegs zu schnell fahrenden Autos |
Der Fuß- und Radweg auf Höhe der Wilhelmsburg führt direkt entlang der Stuttgarter Straße, wo die Autos in der Kurve bei der Fahrt Richtung Süden recht schnell "auf einen zufahren". Ein Blick aufs Handy o.ä. durch den Autofahrer kann hier schnell fatale Folgen haben. Eine bauliche Trennung (Leitplanke) wäre hier sinnvoll. |
|
|
| Wörthstraße |
Permanenter Durchgangs- und Abkürzungsverkehr in der Wörthstraße im Abschnitt zwischen Beyer- und Elisabethenstraße ganztags und an den Wochenenden außerhalb des Berufsverkehrs zu Hensoldt hat massiv, auch nach der Wiedereröffnung der Haßlerstraße im Frühjahr 2022, zugenommen. Der Abschnitt ist eine beliebte und schnelle Alternative ohne viele Ampeln und unter Nicht-Einhaltung der Verkehrsregeln in einer Fahrradstraße für Kfz und Lieferverkehr sogar bis zu 7,5 Tonnen geworden!
Die Fahrzeuge fahren mit hoher Geschwindigkeit (obwohl 30er Zone) und zu geringem Abstand an den Radfahrer*innen in beiden Richtungen vorbei und biegen größtenteils in die Elisabethenstrasse Richtung Römerstrasse oder Wagnerstrasse ab bzw. biegen aus der Elisabethenstrasse Richtung Beyerstrasse ein.
Dieser Umstand führt zu einer steigenden Gefährdung und Verdrängung des Radverkehrs an den Fahrbahnrand und teils auf den Gehweg links und rechts des Straßenabschnitts. |
|
|
| Radwegführung über Tram Schienen |
Auch hier Unfallgefahr, durch Querung von Tram Schienen. |
|
 |
| Radstreifen kreuzt Tram Schienen |
Gefährliche Radwegführung über die Gleisen der Tram. Gummischutz. |
|
 |
| Donautal: Boschstraße und Nicolaus-Otto-Straße |
Bodenwellen und große, im Herbst durch Laub verdeckte Risse auf dem Radweg. Der schmale Zweirichtungsfahrradweg wird häufig durch LKW blockiert. |
|
 |
| Aufhebung 30kmh zusammen mit Ende geteilter Radspur |
Hier hört die 30er-Begrenzung auf der Hauptstraße genau auf, wenn die Radspur wegen Parkplätzen auf der Straße endet. Gefährlich, weil Autofahrer eher auf das Schild achten und dann beschleunigen. – folgt kurz danach eine Fussgängerampel – danach die Einmündung Gögglinger Straße, wo der Radweg ebenfalls einfach endet – folgt dann gleich eine Verkehrsinsel mit Querung und kurz danach eine weitere Möglichkeit über die Straße zu wechseln (wo es wohl sogar mal einen tödlichen Unfall mit einem Radfahrer gab!) – und dann schon der Kreisel
Betrachtet man all diese Gegebenheiten auf nur wenigen 100m Strecke, macht eine Aufhebung der 30er-Beschränkung mitten im Ort an dieser Stelle absolut keinen Sinn und ist sogar gefährlich. Als Radfahrer komme ich mir ja eh schon wegen der ständig durch Parkplätze unterbrochenen Radspur auf der Hauptstraße wie ein wenig geförderter Verkehrsteilnehmer vor… |
|
|
| Mähringer Weg Einmündung Wilhelm-Geyer-Weg |
Gefährliche Einmündung Wilhelm-Geyer-Weg in den Mähringer Weg. Die Einfahrt ist extrem schlecht ein zu sehen durch parkende Autos (oben und unten), Bäume, Schilder, …., sogar für abbiegende Autofahrer. Kurz nachdem das Bild entstand kreuzte noch ein schnell fahrender Radfahrer vor dem Auto die Einmündung. |
|
 |
| Neutorstraße (SWU) |
Fahrradstreifen sehr eng. Fahrradstreifen wird von Autofahrern häufig geschnitten (Kurvenlage an Querungsinsel). |
|
 |
| Neutorstraße |
Der Fahrradstreifen endet und fängt nach der Kreuzung Zeitblomstraße wieder an. Häufige Konflikte mit Autofahrern. Das Ende des Fahrradstreifens wird regelmäßig von Hotelbesuchern als Kurzzeitparkplatz verwendet.
Die Spurführung scheint der Priorität für die Linksabbiegespur und die Querungsinsel geschuldet. Evtl. hätte die Situation in der Planungsphase durch einen etwas weiter westlich verlaufenden Straßenverlauf bis zur Einmündung Zeitblomstraße vermieden werden können. |
|
 |
| Gefährlicher Anschluss |
Radweg endet im Nirvana. Überqueren der Straße ist ein Risiko. Dringender Handlungsbedarf, um die Situation zu verbessern. |
|
 |
| Überleitung auf Olgastraße Rechtsabbieger |
Hier wird der Radverkehr haarsträubend geleitet. Ab Sedelhofgasse geht es auf dem Gehweg los. Man wird dann ab der Handwerkskammer auf die Rechtsabbieger-Spur für den MIV geleitet. Das hat Potenzial für Todesfälle. Zudem sind auf dem Gehweg zwischen Sedelhofgasse und Handwerkskammer einige festinstallierte Beschilderungen die zusätzlich Platz nehmen. |
|
 |
| S-Kurve mit gefährlichen Stellen |
Diese S-Kurve an sich ist nicht das Problem, auch wenn hier etwas mehr Breite nicht schaden könnte (gilt aber fast für den gesamten Zweirichtungsradweg). Das gröbere Problem ist die zusätzliche Gefahr durch die Hofausfahrt, in welcher auch gerne die Autos bis auf den Radweg heraus ragen. |
|
 |
| Übergang Salzstadelgasse |
Sehr unkomfortabler Übergang für Rad und Fuß. Niveaugleicher Übergang sollte der Standard werden. |
|
 |
| Am Bleicher Hag |
Bordsteinkante hoch und scharfkantig Verbesserung: Niveaugleiche Querung der Einmündung "Sonnehalde" in "Am Bleicher Hag" / "In der Wanne" |
|
 |
| Blaubeurer Straße |
Verbesserungen: Klare Verkehrsführung und Trennung der Richtungsverkehre für Fußgänger und Radfahrer, Vermeidung der Verengung, Spiegel |
|
 |
| Böfinger Steige |
Verbesserung: Alle Querungen des Fuß- und Radwegs entlang der Böfinger Steige sollten niveaugleich ausgeführt und farblich hervorgehoben sein. |
|
 |
| Innere Wallstraße (Schubart Gymnasium) |
Verbesserung: Niveaugleiche Querung Fuß-/Radweg am Schubart Gymnasium |
|
 |
| Kreuzung Neutorstraße / Olgastraße (Theater) |
Verbesserung: Straßenbahnschienen mit Gummischutz radsicher machen. |
|
 |
| Heimstraße / Hafenbad |
Verbesserung: Niveaugleicher Radweg Heimstraße Querung Hafenbad |
|
 |
| Schillerstraße / Zinglerstraße |
Verbesserung: Geschützter Radweg Schillerstraße zur Zinglerstraße von der Donau kommend. |
|
 |
| Neue Straße |
Verbesserung: Geschützter Radweg Neue Straße (östlicher Teil) |
|
 |
| Querung Gideon-Bacher-Straße am Übergang Basteistraße / Neue Straße |
Verbesserung: Querung Gideon-Bacher-Straße am Übergang Basteistraße / Neue Straße |
|
 |